00 Monroe Road

$129,900
00 Monroe Road, Bath, NH 03740
00 Monroe Road

00 Monroe Road

$129,900

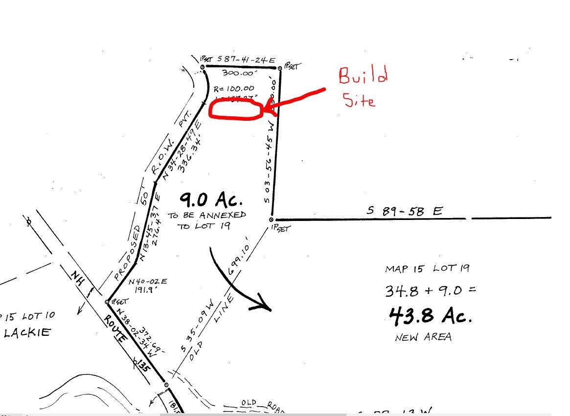
UPDATED LOT LINE ADJUSTED 43.8 ACRES WITH OPPORTUNITY TO BUILD- Owner added 9 acres with town approval to give someone the chance to have both a great piece of recreational land and a beautiful home site with a view. Beautiful Views from this steep large parcel of land in Bath. Just across from the Narrows of the Connecticut River on highway 135. Access is via a ROW on the owner's other parcels. The property has skid roads to the top that offer a variety of views on the way up. The land is rugged and has a lot of resident wildlife. Great area to camp and hunt. Despite being steep in sections there are ample plateaus that offer off grid building opportunities. The land will sell in Current Use and be the responsibility of the buyer to pay any and all taxes/penalties that arise from removing from Current Use. Coming soon abutting 100+ acres.
Jess Peznola
Jess Peznola Contact

Features & Amenities

Exterior

Sewer None

Area & Lot

Status Sold
LOT SIZE 43.8 Acres
MLS® ID 4960108
Type Land
Water Frontage River
View Description Mountain, Rural

Financial

SALES PRICE $129,900
REAL ESTATE TAXES $112/yr

WORK WITH US.

Dedicated to you. It has been always our mission to bring our clients home. Contact us today!

CONTACT US